(写真館)
家族とニューカレドニア旅行
2005/1/3-2005/1/10

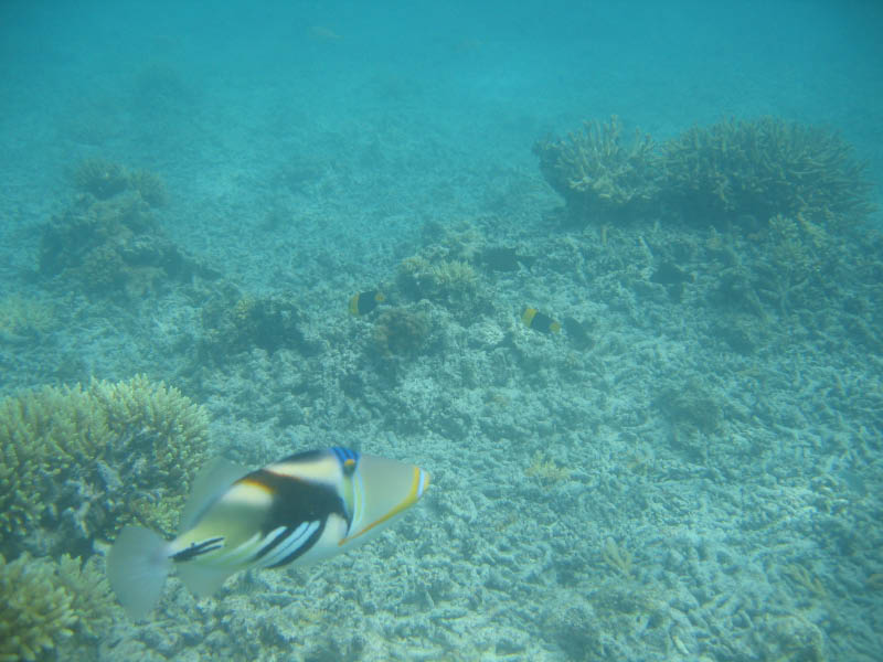
近くには、ピカソフィッシュも。